Fréttir
Fréttir
Fréttaskýring
Í deiglunni
Utan úr heimi
Viðtal
Líf&Starf
Líf og starf
Matarkrókurinn
Hannyrðahornið
Bóndinn
Fólkið sem erfir landið
Menning
Vélabásinn
Skoðun
Lesendarýni
Á faglegum nótum
Af vettvangi Bændasamtakana
Leiðari
Bændablaðið
Um Bændablaðið
Starfsfólk
Auglýsingar og útgáfudagsetningar
Áskrift
Tímarit Bændablaðsins
Dreifingastaðir
Hlaðan
Útvarp Bændablaðið
Smáauglýsingar
Meindýr í skógum og görðum
Asparglytta, Phratora vitelliane, er vel þekkt meindýr á trjám af víðiætt.
Birkikemba, Heringocrania unimaculella, fannst fyrst hér á landi sumarið 2005 og hefur breiðst hratt út síðan þá og skaði af hennar völdum aukist.
Birkikembur verpa í lauf birkis snemma á vorin. Lirfan klekst út og vex inni í blaðinu og nærist á blaðholdinu.
Birkiþéla, Scolioneura betuleti, er blaðvespa sem hefur líklega verið hér í einhvern tíma áður en hún var fyrst greind.
Ertuyglan, Ceramica pisi, veldur skaða á öllum trjátegundum og þola barrtré hana verr en lauftré.
Haustfeti á furu.
Hér á landi finnast nokkrar tegundir blaðlúsa sem valda litlum skaða.
Lirfa furuvoðvespu.
Lirfan haustfeta, Operophtera brumata, er alæta á alls konar lauf- og barrtré.
Lirfur asparglyttu skríða úr eggi um mitt sumar og lifa á laufi viðju, aspar og víðis fram undir lok sumars.
Birkþéla verpir í blöð birkis og lirfan elst upp inni í blaðinu.
Lirfur ranabjöllu valda skaða með því að éta rætur ungplantnanna. Þannig geta plönturnar misst rótarfestu og þrífast illa.
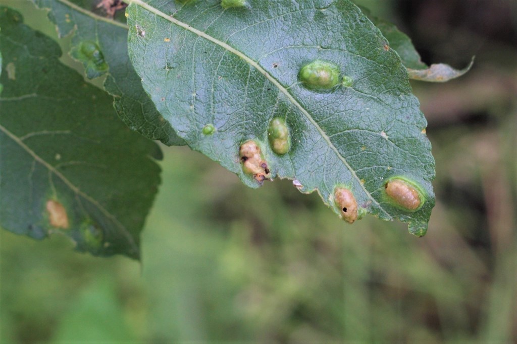
Sagvespa, Pontania bridgmanni. Upp úr 2012 fór að bara á einskonar kýlum á laufi á selju á höfuðborgarsvæðinu og víðar um land.
Ógreindur skaðvaldur á gullregni.
Tjón af völdum fururvoðvespu, Acantholyda erythrocephala, er vegna þess að lirfurnar éta barr frá vori og fram á mitt sumar.
Skemmdir af völdum sitkalúsar, Elatobium abietinum.
Sýnishorn af ranabjöllulirfu úr ungskógi.
Mest lesið
16. mars 2026
Varað við veikingu Hólastaðar og Háskólans
16. mars 2026
Varar við því að samþykkja frjálst flæði lifandi dýra
16. mars 2026
Áætlaður 18% samdráttur í losun frá áburði
16. mars 2026
Hvað á að gera við ríkisjarðir?
16. mars 2026
Axel vill halda formennsku áfram